Pilot Pen

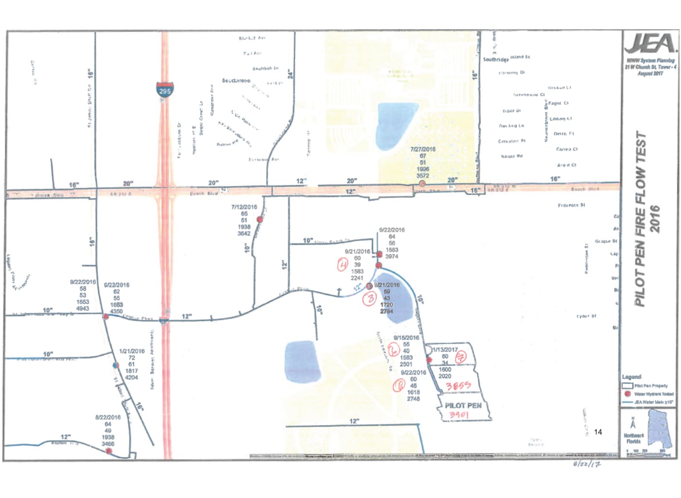
ETM was contracted to investigate and analyze the existing JEA offsite water system and onsite fire suppression system at Pilot Pen. For this project, we were responsible for determining solutions to the recurring fire flow problems, as well as account for new fire flow requirements and proposed expansion.

Our firm utilized Pilot Pen’s original fire flow requirements and data from initial design to redesign the offsite water system and onsite fire suppression system utilizing Pilot Pen’s current fire flow requirements, NFPA, JEA and all other applicable standards and design criteria from initial design. Services included fire flow testing and analysis, hydraulic water modeling, conceptual secondary connection utility designs, preparation of cost estimates, and coordination meetings between our firm, JEA, and Pilot Pen. ETM provided pragmatic resolution options for this significant JEA customer.

Client
JEA

Location
Jacksonville, Florida

Project Gallery

Scroll to Top